Meeting Reports August 2025


Wednesday 27th August 2025 – to Woodfield Country Park

Objective : Visit the woodland nature trail, see venerable trees, and a Victorian walled garden.
Leader : Colin Howes
Other Attendees : Samantha & Graham B, Nora B, John N, Ian F, Les C.
Weather: Cloudy. Temp. 18 to 20oC:  Wind 7mph W:  Showers commenced at 1:15pm. Precipitation of .03cm/h by 2pm to 24cm/h at 6pm.

Background: In recent years, with guidance from the Local Authority Biodiversity team and the YWT, the management of this 21 acre Victorian Park (established in 1827) has focused on encouraging Biodiversity, boosting awareness of local wildlife and encouraging personal wellbeing by inviting the public to wander in the magnificent grounds, visiting the Walled Garden and taking refreshment in the ‘Flourish’ Café

All the above photos by Samantha Batty. Those below by Nora Boyle & Les Coe

Below. Colin & Nora returned the next day in order to measure the girths of some of the trees.

Activities & Observations: We gathered at the entrance to St Catherine’s Hall, briefly looking at the adjacent gardens. The formal gardens, within yards of the Hall entrance, contained trees of great interest and landscape value. These included a male Monkey Puzzle Araucaria araucana girth 5’ 7” (SE5670 0014), a Cucumber Tree Magnolia acuminata girth 5’2” (SE5672 0014), a Black Mulberry Morus nigra (SE5678 0012) and appropriately, next to the entrance to the ‘Bike Shack’ was a Caucasian Wingnut Pterocarya fraxinifolia.

We then walked out over the large area of park grassland between the Hall and the perimeter Plantation Wood. This area had been left unmown, so much of its flora had flowered, set seed and the component species were still identifiable, though due to the prolonged drought there had been little mid-summer growth. The relative variety of species of grasses and flowers, with few commercial lawn varieties (see following table) suggested this may be a survival of old unimproved grassland. A visit in autumn to prospect for old grassland fungi (waxcaps) may therefore be a project for the future.

In the park grassland to the south-west of the Hall are some of the most spectacular parkland trees in the Doncaster region, some of which must be in the region of 200 years old (the age of the Park). These include several Walnuts Juglans regia and a Horse Chestnut Aesculus hippocastanum. The girths * of three of the Walnuts were 7’9” (SE566 001); 8’1” (SE5664 0016) & 8’2” (SE5664 0008). The Horse Chestnut girth measured 15’7” (SE5661 0016) and had a canopy spread of some 82’ !. [* Girths measured at chest height].

Of interest in a historical context was a large Hawthorn Crataegus monogyna, maintained as a standard tree which had a girth of 4’6” (SE5665 0016) which suggested it may be a survival of the original 1827 park. Curiously, this specimen had a Yew sapling Taxus baccata growing epiphytically out of a fork in its trunk.
Also present on the park grassland were two Fern-leaved Beech trees Fagus sylvatica ‘Asplenifolia’, several Turkish Hazels Corylus colurna and Peach trees Prunus persica.

During an interlude when the clouds parted and the sun came out, Samantha drew attention to our group being surrounded by a flurry of small dragonflies which she identified as Migrant Hawkers Aeshna mixta. They were hunting insects which had emerged from tree canopies after a brief shower had passed. Although the nearest still water body in which dragonflies could breed was St Catherine’s Lily Pond (500m to the east), Samantha explained that Migrant Hawkers frequently hunted away from water along hedgerows and woodland edges.

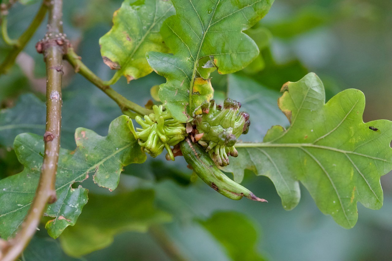
St Catherine’s Plantation. The Nature Trail Woodland adjacent to the limestone Park Wall by Tickhill Road (SE5649 0022 to SK5665 9983) would have been better visited in springtime for its prevernal flora. Also the prolonged drought had left this woodland habitat rather desiccated. However, we managed to record a respectable list of trees, shrubs and woody climbers (see following table) and Ian and Nora located a good range of plant galls, thus indicating a rich biodiversity.

We then moved to the Victorian Walled Garden via a sunken garden which held a magnificent fruiting Fig Ficus carica and a Strawberry Tree Arbutus unedo also heavy with fruit. In the walled garden, bumble bees and hoverflies were seen nectaring on flowering pot plants and we were fascinated to see a group of Honey Bees on the ground eagerly gathering water from a concrete slab dampened by a passing shower. They were even gleaning water droplets from two slugs attracted to the slab for the same reason.

Some of us then adjourned to the ‘Flourish’ café … though I suspect we did rather better than the bees for refreshment!

Acknowledgements: I would like to thank all those DNS members who attended, for their records, observations and photographs and for making it such a pleasant and interesting occasion. Nora returned on Saturday 30 Aug. to help measure the venerable trees and plot their OS grid references.
Thanks are also due to the Woodfield Park management/reception for encouragement and providing the location maps.
CAH.

A Preliminary list of Species recorded at Woodfield Park can be found here


Friday 23rd August 2025 – to Park Farm, Conisbro’

Objective : To record natural history on Farm and disused railway track
Leader : Colin Howes
Other Attendees : Louise & Tim, Jim, Les, John N, John S.

For Tim’s Drone pictures of the area surveyed, see here

 
Conisbrough Parks Natural History Survey Pt 2.
Saturday 23rd August 2025

Weather: Max temp. 19 to 20 oC; Wind SSE to SW gusting to 9mph; Humidity 57 to 60%.

Route: Round walk from Parks Farm Cottages, Conisbrough Parks Farm the disused Railway track south to the metal bridge, crossing via the footpath to Micklebring Gorse and returning via Park Lane, passing the ruins of Conisbrough Lodge en route. Total round trip 5.19 km (3.23 miles).

Objectives: To record items of natural history interest along the verges, pathways, farm roads and disused railway track and to attempt to re-find the Wild Service trees (Sorbus torminalis) recorded on Park Lane between Micklebring Gorse and Conisbrough Lodge, during the DNS/Doncaster Museum Hedgerow Surveys undertaken during 1996.

Acknowledgements: Permission to visit private land around Conisbrough Parks Farm and along the disused railway track was provided through the good offices of Mr Billy Collins. Thanks are due to Mr Collins and everyone who took part and shared their expertise during this exhausting day. Plant Galls collected were identified by Nora Boyle and prior to our visit, useful recollections of the site were provided by former member, now HLM, Ian McDonald.

Recording Sites:

1) Verge/Hedgerow from Park Farm Cottages (SK506 970) to Parks Farm (SK513 967).
2) Kearsley Brook (SK509 969)
3) Disused Railway track from (SK514 967) to lunch stop (SK510 959).
4) Disused Railway track from lunch stop (SK510 959) to narrow path (SK509 955).
5) Disused Railway track from narrow path (SK509 955) to metal bridge (SK508 954).
6) Public Footpath from metal bridge (SK508 954) across arable field to Micklebring Gorse (SK504 954).
7) Park Lane from Micklebring Gorse (SK504 954) to the ruins of Conisbrough Lodge (SK505 957).

Wild Service Tree Sorbus torminalis. Our aim was to re-find the Wild Service tree discovered by Pip Seccombe, Ian McDonald and the Doncaster Naturalists’ team during our hedgerow surveys of Conisbrough Parks in 1996.
Our efforts were handsomely rewarded when John Scott encountered at least 7 shrubs growing within the hedge on the eastern side of Park Lane, just south of Conisbrough Lodge SK505956.
These plants were not growing as standard trees above the height of the hedge but had been trimmed as component shrubs within the hedge along with Ash, Blackthorn, Crab Apple, Field Maple, Hawthorn, Hazel, Holly and Witch Elm and could therefore have been easily missed. Since they were growing within an area of a few meters, it is possible they are suckering from the rootstock of a parent tree no longer in existence.
A review of Wild Service in the Doncaster region can be found in the Bulletin of the Yorkshire Naturalists’ Union, (2000) 34: 1-8 and Yesterday Today (2003) 41: 39-47.Orthoptera: In tall grassy habitats in areas 3 and 4, the Bat detector was very loud at between 20 and 25 kHz with the stridulations of Grasshoppers. Though two specimens of Meadow Grasshopper Chorthippus paralellus were sampled for identification, the different calls, some constant and others pulsating, indicated there were additional species present.

Plant Galls: Galls caused by Gall Wasps (Hymenoptera) on foliage, buds & acorns of Pedunculate Oak Quercus robur. Specimens collected from trees and shrubs along the disused railway track and hedgerows along Park Lane.

Artichoke Gall. Andricus fecundator
Marble Gall. Andricus kollari.
Knopper Galls. Andricus quercuscalicis
Pea Gall. Cynips divisa
Cherry Gall. Cynips quercusfolii
Oyster Gall. Neuroterus anthracinus.
Silk Button Gall. Neuroterus numismalis
Spangle Gall. Neuroterus quercusbaccarum

On Dog Rose Rosa canina
Robin’s Pincushion Gall. Diplolepis rosae (gall wasp).

On Hawthorn Crataegus monogyna
Hawthorn Button-top Gall. Dasineura crataegi (gall midge).

On Bramble Rubus fruticosus agg.
Blackberry Leaf Rust Fungus Phragmidium violaceum

Birds:
Lesser Black-backed Gull
Herring Gull
Black-headed Gull
Buzzard (being mobbed by Peregrine (?) spotted by Louise)
Chaffinch
Chiffchaff
Grey Partridge
Jackdaw
Sparrowhawk
Swallows (at least six were flying around Park Farm Cottages).
Wood Pigeon

Tractor harrowing a field adjacent to the disused railway attracted ca. 200 gulls to search for invertebrates in the turned soil despite it being dust-dry. Most were Lesser Black-backed Gulls with some Herring Gulls intermixed and a number of Black-headed gulls and Jackdaws were also present.
A Tractor ploughing near the air shafts on the west side of Park Lane had attracted about 200 Black-headed Gulls.

Mammals:
Brown Hare. 4 seen on grass verges and passing through hedgerows near pastures around the Parks Farm Cottages and Conisbrough Parks Farm.
Rabbit (Batches of droppings in grassy areas along disused railway).
Fox (scent in railway cutting).
Mole (hills on verges and along route of disused railway).

Geology: With post glacial drift deposits dominating the Humberhead Levels, exposures of solid geology are relatively rare in the Doncaster region. So it was of interest to encounter a small exposure of Middle Coal Measures (Carboniferous) Sandstone and shale by the western buttress of the railway footbridge. Other significant local exposures feature to the west of Clifton Beacon (in SK5295) where the M18 cuts through the summit of the Permian Magnesian Limestone (Cadeby Formation) ridge.

The Deer Park:
The Conisbrough Deer Park was claimed by the de Warennes, the Earls of Surrey, from the date of the Norman Conquest.
In early September 1271 when returning south from his lands at Knaresborough, the 62 year old Richard, Earl of Cornwall, was entertained for six days by John de Warrenne and was therefore likely to have visited Conisbrough for the hunting. In 1539, 440 Fallow Deer were documented for the park. The Deer Park is shown on Christopher Saxton’s 1577 map of Yorkshire and on John Speed’s 1610 map of the Old West Riding.
The park’s surviving boundaries were delineated in the 1848 tithe award though by that time ‘Intakes’ had been removed by the expansion of adjacent settlements of Firsby on the west and Clifton on the east.

The species lists for this report can be found here

CAH 26/08/2025.

P.S.
Conisbrough Parks Ramble
The Conisbrough Ramblers have organised the following walk which our fitter members may be interested to join.
Tue, 9 Sept. 2025 10:30 – 14:00
Meet at Old Road field opposite Ivanhoe School, Conisbrough for a 10:30 am start.
Walking to Micklebring via Park Lane to the Grazing Hind for Refreshments before returning to Conisbrough via Beacon Hill and Clifton Village. Approx 7 miles taking approx. 2.5 hours not including break. Not suitable for wheelchairs or buggies. Good dogs welcome.
Contact: penny.lloydrees@gmail.com


Friday 22nd August 2025 – to Thorpe Marsh Nature Reserve

Objective : For pond dipping and Willow Emerald Damselflies.
Leader : Mick Townsend
Other Attendees :


Friday 15th August 2025 – to Fairburn Ings

Objective : To look for ‘Teaspoons’
Leader : Paul Simmons
Other Attendees : Graham & Samantha Batty; Tom Higginbottom & Colin Howes. 

Spoonbills at RSPB Fairburn Ings.

Spoonbills at RSPB St Aiden’s.

Weather: Fiercely sunny day.  Temp. up to 26oC. Wind North-east 8 mph. Humidity 78%.

Having lost our party while making notes at the first hide, I followed what I thought was the allotted route and ended up at the Bob Dickens hide (about as far as you could go in the wrong direction!) where I counted the following:  Greylag Geese (20+); Canada Geese (20+); Mute Swans (4+); Mallard (10+); Shoveller (4+); Gadwall (20+); Pochard (10+); Tufted Duck (30+); Great Crested Grebes (6+); Cormorants (4+); Blackheaded Gulls (5+) House Martins (6+).

In retracing my tracks, I found the right hand turn I should have taken and followed the route west along the tops of the old coal tips which led to three large elevated lakes which had attracted Coot (26+); Gadwall (14+); Blackheaded Gulls (25+); Little Grebes (2+); Moorhens (2); Lapwing (1) and Mute Swans (6+).

From strategically positioned seats it was possible to look north over a lower wetland, backed by thick Willow Carr woodland in which Herons, Egrets, Cormorants had been nesting, many of the trees being characteristically white with guano and devoid of foliage. Sadly, the Spoonbills (the purpose of our visit) had disbursed from the site but there was still much to see.

I had my lunch at this impressive vantage point and noticed Grey Herons (2); Little Egrets (6); Great White Egret (1) and Cormorants (20). Wood Pigeons were constantly on the move though occasional Stock Doves flew past.

The thick grassy verges which appeared desiccated and lifeless were in fact busy with Orthopterans including Meadow Grasshopper and Field Grasshopper. Football-sized ant nests (possibly Lasius flavus) occurred occasionally in the grassland and probably accounted for the presence of Green Woodpeckers whose ‘yaffling’ calls could occasionally be heard. Looking out across Newton Lane to harvested arable fields beyond, I noticed a Common Buzzard parachuting down onto the ground where it joined four more of its kind, possibly foraging for invertebrates.

On the way back to the Visitor Centre Chiffchaff, Goldfinch, Magpie and Great Spotted Woodpecker were added to the list.

Of the plants, the following were listed:

Path verges (Short turf): Common Centaury; Lady’s Bedstraw; Musk Mallow; Bird’s-foot Trefoil; Colt’s-foot; Creeping Cinquefoil; Meadow Cranesbill; Rat-tail Plantain; Wood Avens; Herb Robert; Yarrow; Common Ragwort; Dewberry.

(Tall herbage): False Oat-grass; Cock’s-foot grass; Ox-eye Daisy; Red Campion; Knapweed; White Campion; Teasel; Creeping Thistle; Stinging Nettle; Perennial Sow-thistle; Hogweed; Angelica; Rosebay; Great Willowherb.

(Woodland and shrubs): Common Oak; Ash; Downy Birch; Weeping Birch; Crack Willow; Common Alder; Hawthorn; Blackthorn; Holly; Hazel; Aspen; Rowan; Wild Cherry; Field Maple; Sycamore; Elder; Dogwood; Gorse; Broom; Dog Rose; Rugosa Rose; Honeysuckle; Bramble.

(Ditches & Ponds): Phragmites Reed; Reed Sweet-grass; Meadowsweet; Reedmace; Water-Plantain; Water Mint; Soft Rush; Bulrush.

Since no Nats vehicles were left in the car park and since Samantha had earlier noted that Spoonbills had been seen at RSPB St Aiden’s, I presumed our group had transferred there and followed. At St Aiden’s, from the elevated position of the veranda of the Café I was able to able to scan with binoculars most of the site. This brought to sight 2 Spoonbills, Grey Herons; Little Egrets; Great White Egrets; Grey-lag Geese; Canada Geese; Mute Swans; Mallard; Gadwall; Tufted Duck; Great Crested Grebes; Cormorants and Blackheaded Gulls. One enormous bird was a puzzle. Dark (possibly brown) in colour, it seemed taller than the Herons, Spoonbills, Little and Great White Egrets which it was near. Could it have been a Crane? None seem to have been mentioned on contemporary blogs.

A long,  hot and very exhausting day

CAH.

The Spoonbills were very elusive at RSPB Fairburn but we did manage glimpses of them through the trees from the hill top.

Some of the group then went on to RSPB St. Aiden’s to see if we could get better views there, and were rewarded by clear views of a group of eight birds. They were quite a distance from the path, so images have been heavily cropped, but wonderful to see. 

Samantha Batty


Tuesday 12th August 2025 – to Austerfield Nature Reserve

Objective : To look for dragonflies
Leader : Jim Burnett
Other Attendees : 11 other members attended

Dragonfly & damselfly species noted were Emperor, Southern Hawker, Willow Emerald Damselfly, Ruddy Darter, Blue-tailed Damselfly, Common Blue Damselfly & a possible Red-eyed Damselfly

Also noted were a colony of Fragrant Agrimony & galls on willow caused by the Willow Emerald Damselfly egg laying.

Jim Burnett